No hay escapatoria. La región oriental de Cuba sufrirá pronto el azote del poderoso huracán Melissa, que al amanecer de este domingo había llegado ya a la categoría 4 tras experimentar una rápida intensificación al sudeste de Jamaica.
“El oriente de Cuba debe prepararse para el impacto directo dentro de 48 a 72 horas del huracán Melissa, posiblemente como un huracán de gran intensidad categoría 3 o 4”, advertía hoy temprano el Instituto de Meteorología de la isla (Insmet).
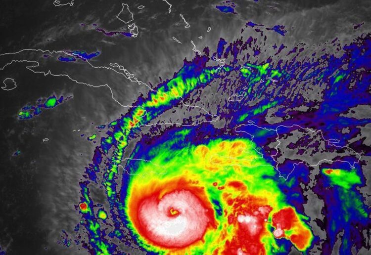
En su parte de las 6:00 de la mañana, la entidad informó que en las últimas horas Melissa “experimentó un proceso de rápida intensificación” que la llevaron a ser un huracán categoría 4 en la escala Saffir-Simpson, menos de 24 horas después de convertirse en huracán.
A esa hora se situaba a 180 kilómetros al sur-sudeste de Kingston, Jamaica, y a 415 kilómetros al sur de la ciudad de Santiago de Cuba, y se movía con un rumbo próximo al oeste a solo 7 km/h.
Sus vientos máximos sostenidos eran de 220 km/h, con rachas superiores y su presión central había descendido hasta los 944 hectoPascal.
Ocho horas después, a las 2:00 PM, Melissa mantenía la misma fuerza de sus vientos y velocidad de traslación, y su presión central era 946 hectoPascal, luego de haberse incrementado ligeramente durante el día, según el Centro Nacional de Huracanes de Estados Unidos (NHC, por sus siglas en inglés).
De acuerdo con el mismo, los vientos con fuerza de huracán de Melissa se extienden a unos 35 km del centro y los de tormenta tropical abarcan mucho más: 280 km.
Previsiones de un gran huracán
En cuanto a las previsiones, tanto el NHC como el Insmet pronostican que mantenga hoy un movimiento lento hacia el oeste en las cercanías de Jamaica —territorio que ya está azotando con vientos y lluvias— y luego gire gradualmente al norte y nordeste en los próximos días.
Los expertos prevén que puede seguir intensificándose —lo que lo llevaría a la categoría 5—, a lo que seguirían fluctuaciones en su intensidad.
En cualquier caso, alerta el NHC, “se espera que sea un gran huracán cuando toque tierra en Jamaica el lunes por la noche o el martes por la mañana, y el sureste de Cuba a última hora del martes”.
El Insmet, por su parte, avisa de que las bandas externas de Melissa “incrementarán gradualmente los nublados y las precipitaciones en la región oriental de Cuba” y de que ya desde hoy se iniciarán “fuertes marejadas” en los mares al sur de Granma, Santiago de Cuba y Guantánamo.
Aunque aún no es posible saber el sitio por donde el centro de Melissa debe tocar tierra cubana, lo cierto es que por sus dimensiones e intensidad pronosticada su fuerza debe hacerse sentir en una amplia zona de la región oriental, que ya se encuentra en Alerta ciclónica.
Por ello, cada minuto cuenta en la preparación para minimizar sus daños, aunque presumiblemente estos deben ser significativos dada la potencia del huracán y el estado actual de muchas viviendas e infraestructuras en la zona que será impactada.












Recojan la basura,metan energía y recursos en eso con carretón,con lo que sea por favor