Cuba se encuentra en Fase de Alarma Ciclónica desde Guantánamo a Camagüey y en Alerta en Ciego de Ávila y Sancti Spíritus, según ha decretado esta mañana el Estado Mayor Nacional de la Defensa Civil, teniendo en consideración “el inminente impacto del huracán Melissa”.
A las 09:00 de la mañana no solo Guantánamo, Santiago de Cuba, Holguín, Granma, Las Tunas y Camagüey pasaron a Fase de Alarma Ciclónica, sino que la Defensa Civil dispuso la Alerta para Ciego de Ávila y Sancti Spíritus.
En tanto, según esta tercera comunicación emitida ante este organismo tropical, en Cienfuegos, Villa Clara, Matanzas, Mayabeque, La Habana, Artemisa, Pinar del Río y el Municipio Especial Isla de la Juventud “se orientó activar los consejos de defensa en composición reducida”.
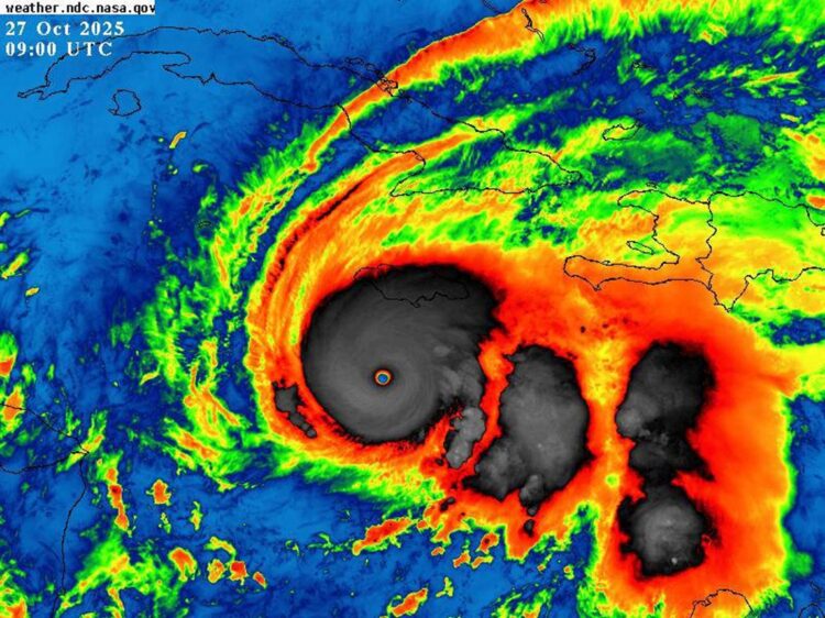
Según el Centro de Pronósticos del Instituto de Meteorología (Insmet), Melissa incrementó su intensidad hasta alcanzar vientos máximos sostenidos de 260 kilómetros por hora, con rachas superiores y presión central de 917 hectopascal, lo que lo convirtió en un huracán categoría cinco en la escala Saffir-Simpson, apunta la defensa Civil.
El organismo ciclónico se desplazó con rumbo próximo al oeste a seis kilómetros por hora y en las próximas 24 horas se prevé que gire al norte y nordeste, transitando por los mares de Jamaica y aproximándose al sur de la región oriental de Cuba.
Las autoridades, apunta esta comunicación, instan a la población a mantenerse informada a través de los medios nacionales y perfiles oficiales en redes sociales, y a cumplir disciplinadamente las indicaciones de la Defensa Civil y de los órganos locales de gobierno.
Melissa impactará la isla en medio de una grave crisis electroenérgetica que deja largas jornadas de apagones y por los cuales incluso las estaciones de radio han debido reprogramar su transmisión. Esta situación es parte de una crisis económica que golpea aún con más fuerza la cotidianidad del cubano.
El “peligrosísimo” huracán Melissa ya es categoría 5 y debe azotar Cuba unas 12 horas
En su parte más reciente, el Centro Nacional de Huracanes de EE. UU. subrayó que Melissa girará hacia el norte más tarde hoy o esta noche, mientras avanza con “vientos destructivos y marejadas de tormenta e inundaciones catastróficas” que empeorarán para Jamaica.
“En la trayectoria del pronóstico, se espera que el núcleo de Melissa se mueva cerca o sobre Jamaica esta noche y martes, a través del sureste de Cuba el martes por la noche, y a través de las Bahamas del sureste del miércoles”.












