Zona de confort, zona de guerra
El pintor Roberto González expone en La Habana vieja una colección que tiene como presupuesto la mirada irónica.
Seguir leyendoEl pintor Roberto González expone en La Habana vieja una colección que tiene como presupuesto la mirada irónica.
Seguir leyendoActualmente, seis de las 16 unidades termoeléctricas en operación se encuentran fuera de servicio por averías o mantenimiento.
Se trata de la mayor excarcelación colectiva conocida al menos desde agosto pasado, cuando dirigentes de la oposición informaron la...
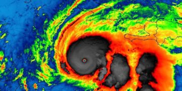
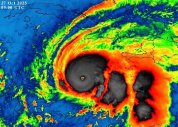
A las puertas del período considerado de mayor riesgo —entre enero y mayo—, especialistas estiman que en 2026 podrían ocurrir...
Cuba recibió entre enero y noviembre un total de 1 629 787 turistas, cerca de un 19 % menos que...
La actual epidemia de dengue y chikungunya en Cuba podría estar bajo control a inicios de 2026, de acuerdo con...
Con la música de Esteban Salas, una Navidad muy nuestra
El pintor Roberto González expone en La Habana vieja una colección que tiene como presupuesto la mirada irónica.
Seguir leyendoSe necesita coherencia y consistencia después de los anuncios hechos en Fihav 2025
Con la música de Esteban Salas, una Navidad muy nuestra
Plan de paz para Ucrania: cuando el conflicto estorba los negocios
Como un sastre viajero que solo vuelve a casa cuando el traje del año se deshilacha, o como un Melquíades...
El Gobierno de Corea del Sur donó más de 24 mil toneladas de arroz a Cuba, en momentos en que...
El país oceánico establece la restricción de edad más alta del mundo para el uso de plataformas digitales, y obliga...
OnCuba y el logotipo de OnCuba son marcas registradas de Fuego Enterprises, Inc, sus subsidiarias o divisiones.
© Copyright OnCuba Fuego Enterprises, Inc Todos los derechos reservados.
OnCuba y el logotipo de OnCuba son marcas registradas de Fuego Enterprises, Inc, sus subsidiarias o divisiones.
© Copyright OnCuba Fuego Enterprises, Inc Todos los derechos reservados.
Para brindar las mejores experiencias, utilizamos tecnologías como cookies para almacenar y/o acceder a información del dispositivo. Dar su consentimiento a estas tecnologías nos permitirá procesar datos como el comportamiento de navegación o identificaciones únicas en este sitio. No dar o retirar el consentimiento puede afectar negativamente a determinadas características y funciones.